Budnicza Warszawa Rembertów
Atrakcyjna działka budowlana w malowniczej miejscowości Rembertów otoczona zielenią z dala od zgiełku miasta, a…
$1,310,000
lubelskie, Krasnystaw, Zastawie
sprzedaż
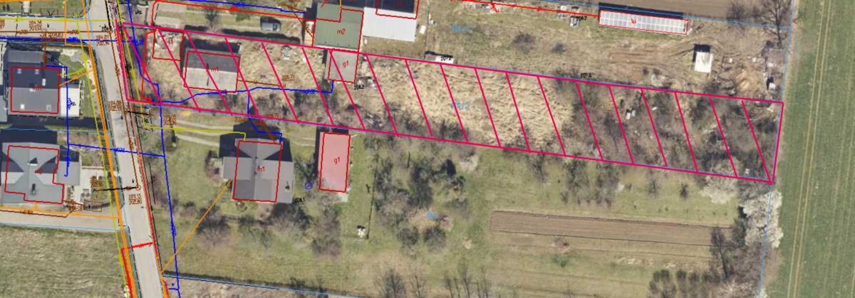
$160,000



Działka budowlana z dwoma budynkami w złym stanie technicznym do rozbiórki, położona w ścisłej zabudowie mieszkaniowej jednorodzinnej w dzielnicy Krasnegostawu Zastawie Przedmieście przy ulicy Łukasińskiego w pobliżu pól uprawnych na lekkim zboczu, w kształcie długiego prostokąta. Działka posiada doprowadzone media (prąd, woda z wodociągu miejskiego, możliwość podpięcia się pod sieć gazową z przebiegającego tam gazociągu). Istnieje również możliwość podłączenia się do kanalizacji miejskiej. Zapraszam do prezentacji.
Atrakcyjna działka budowlana w malowniczej miejscowości Rembertów otoczona zielenią z dala od zgiełku miasta, a…
$1,310,000
UWAGA !!! WSZYSTKIE DZIAŁKI SĄ JUŻ SPRZEDANE NA SPRZEDAŻ ! Działki budowlane oddalone zaledwie 1,3…
$49,900
What is there more kindly than the feeling between host and guest?
Aeschylus